ANONSE
/23
W polu powyżej wpisz numer strony, do której chcesz przejść
Kombornia - WIDOKOWE działki z warunkami zabudowy
1/3
Cena: OD 140 000ZŁ
Na sprzedaż oferujemy dwie atrakcyjne działki położone w miejscowości Kombornia – spokojnej, malowniczej wsi zlokalizowanej w gminie Korczyna, zaledwie kilka minut jazdy samochodem od Krosna. Działki oznaczone numerami 714/4 oraz 714/5 stanowią doskonałą propozycję pod budowę domu jednorodzinnego.

Nieruchomości usytuowane są w zacisznym miejscu, z bardzo dobrym dojazdem – prowadzi do nich drog... (pokaż całość)
KONTAKT Wyślij
wiadomość
Kwadraciak Biuro Nieruchomości
tel: 783 208 181
e-mail: karolina@kwadraciak.krosno.pl
https://kwadraciak.krosno.pl/nieruchomosci/komborn…
Powołaj się na ogłoszenie z Krosno24.pl
Ogłoszenie nr 1573205 | kwadraciak (102)
ważne od: 22.04.2026 do: 20.05.2026
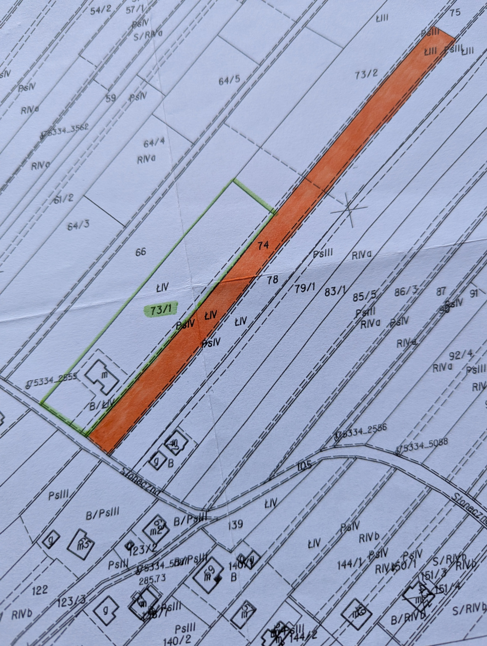
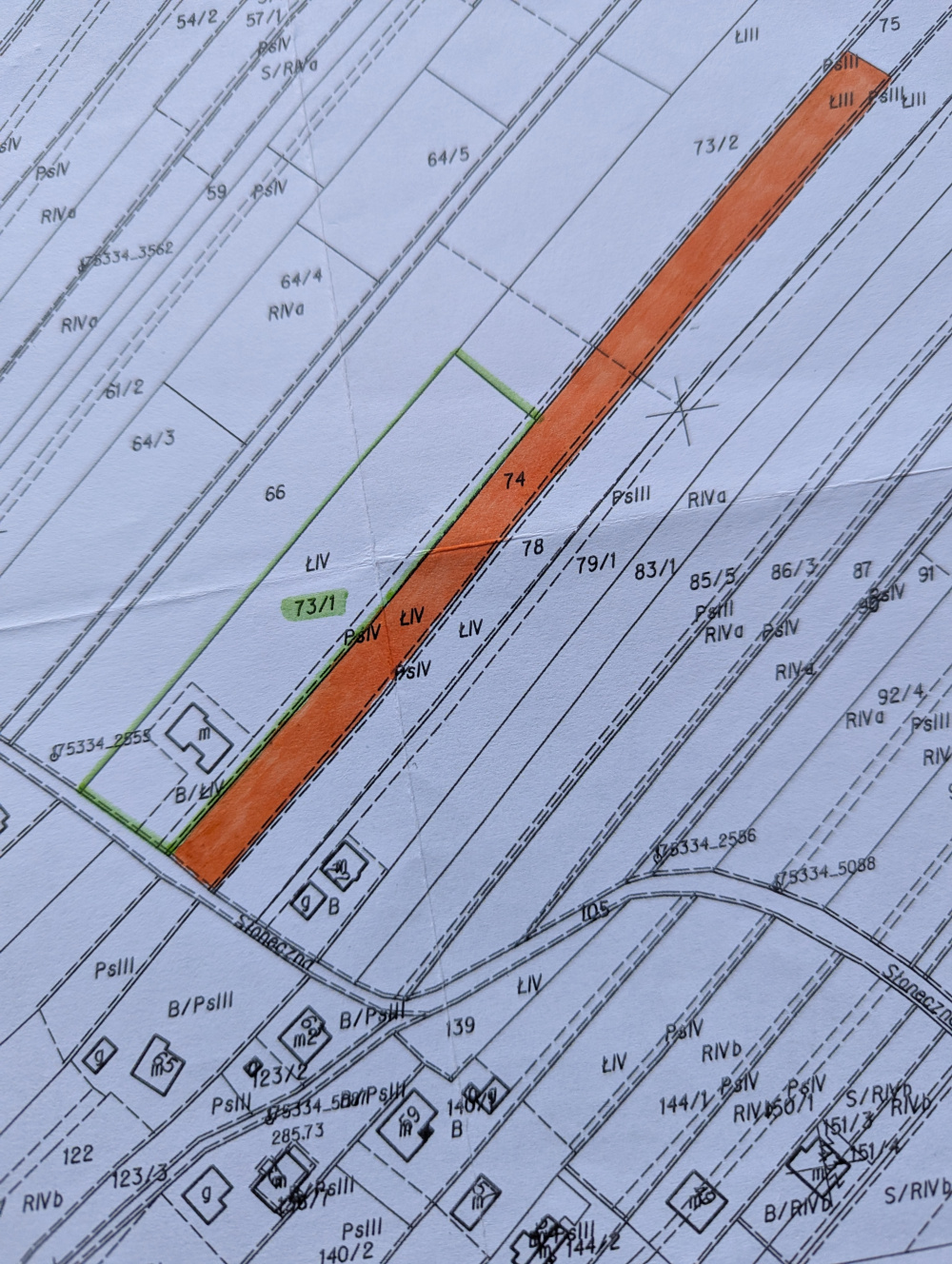
Działka 0,42 ha, Głowienka, blisko Krosna przy ul. Słonecznej
1/3
Sprzedam działkę (kolor pomarańczowy na ostatnim zdjęciu) o powierzchni 0,42 ha w Głowience, blisko Krosna, przy ul. Słonecznej. Jest do niej dojazd z drogi asfaltowej.
KONTAKT Wyślij
wiadomość
607 918 149
Powołaj się na ogłoszenie z Krosno24.pl
Ogłoszenie nr 1570474 | luksz (1)
ważne od: 22.04.2026 do: 29.04.2026
Działka Budowlana w Korczynie
1/3
Cena: 118 000 zł
Krótki opis nieruchomości
Oferujemy na sprzedaż działkę budowlaną o numerze ewidencyjnym 2751, zlokalizowaną w miejscowości Korczyna przy ulicy Zagórze (powiat krośnieński, województwo podkarpackie).

Działka ma powierzchnię 17 arów. Zgodnie z Miejscowym Planem Zagospodarowania Przestrzennego, 6,75 ara działki oznaczone jest jako RM1, co daje szerokie możliwości: od zabudowy zagrodowej i jedn... (pokaż całość)
KONTAKT Wyślij
wiadomość
Kwadraciak Biuro Nieruchomości
tel.: 793 967 970
e-mail: anna@kwadraciak.krosno.pl
Powołaj się na ogłoszenie z Krosno24.pl
Ogłoszenie nr 1589120 | kwadraciak (102)
ważne od: 22.04.2026 do: 20.05.2026
Działka budowlana o pow. 19,62a – KROSNO /Turaszówka/.
1/3
Cena: 147000zł
Oferujemy Państwu na sprzedaż niezabudowaną działkę o pow. 19,62a zlokalizowaną w Krośnie przy ul. Klonowej w dzielnicy Turaszówka.
Działka położona bezpośrednio przy asfaltowej drodze miejskiej, w całości objęta jest obowiązującym Miejscowym Planem Zagospodarowania Przestrzennego, gdzie większa część obszaru ok. 11a znajduje się w terenach o symbolu 1.MN.1 z podstawowym przeznaczeniem pod zabud... (pokaż całość)
KONTAKT Wyślij
wiadomość
BIURO NIERUCHOMOŚCI PROGRESS
KROSNO, ul. Tysiąclecia 3
TEL: 575 641 057, 575 641 041
biuro@progressnieruchomosci.pl
Powołaj się na ogłoszenie z Krosno24.pl
Ogłoszenie nr 1559270 | bnprogress (68)
ważne od: 22.04.2026 do: 29.04.2026
Działki budowlane w Sieniawie
1/3
Cena: 10
Witam. Na sprzedaż 3 sąsiadujące działki budowlane w malowniczej Sieniawie przy ulicy Wiśniowej (koło Rymanowa)
Teren w spokojnej okolicy, nieopodal jeziora Sieniawskiego.
Działki według numerów kolejno
1- 15,06 ara
2- 15,04 ara
3- 15 arów
Droga dojazdowa o szerokości 5 metrów ( dojazd do działek jest przez całą długość i łączy 2 drogi z ulicy Wiśniowej do ulicy Rymanowskiej
przeznaczone p... (pokaż całość)
KONTAKT Wyślij
wiadomość
660087300
Powołaj się na ogłoszenie z Krosno24.pl
Ogłoszenie nr 1587295 | Krzysztof Kowalczyk (1)
ważne od: 22.04.2026 do: 20.05.2026
Działka budowlana 22 ar - Świerzowa Polska.
1/2
Cena: 140 000 zł ( do negocjacji)
Krótki opis nieruchomości

Do sprzedaży oferujemy atrakcyjną działkę budowlaną o powierzchni ok. 22 arów, położoną w miejscowości Świerzowa Polska, w gminie Chorkówka.
Działka znajduje się w kameralnym, zielonym otoczeniu, w sąsiedztwie zabudowy jednorodzinnej oraz terenów niezabudowanych.

>> Najważniejsze informacje:

• powierzchnia: ok. 22 ary
• wymiary: ok. 25 m szerokości × 86 m dług... (pokaż całość)
KONTAKT Wyślij
wiadomość
Kwadraciak Biuro Nieruchomości
Tel: 726 504 367
sylwia@kwadraciak.kkrosno.pl
Powołaj się na ogłoszenie z Krosno24.pl
Ogłoszenie nr 1589073 | kwadraciak (102)
ważne od: 21.04.2026 do: 19.05.2026
Działka 16 arów - Kopytowa, gm. Chorkówka
1/3
Cena: 80 000 zł ( do negocjacji)
Krótki opis nieruchomości

Na sprzedaż ustawna działka o powierzchni 16 arów, zlokalizowana w miejscowości Kopytowa, w gminie Chorkówka. Nieruchomość posiada regularny kształt i bardzo dobre proporcje, co znacząco ułatwia zaprojektowanie domu oraz zagospodarowanie terenu.

Dodatkowym atutem jest fakt, że działka ma zostać objęta planem ogólnym pod zabudowę mieszkaniową.

>> Podstawowe infor... (pokaż całość)
KONTAKT Wyślij
wiadomość
Kwadraciak Biuro Nieruchomości
Tel: 726 504 367
sylwia@kwadraciak.krosno.pl
https://kwadraciak.krosno.pl/nieruchomosci/na-sprz…
Powołaj się na ogłoszenie z Krosno24.pl
Ogłoszenie nr 1589072 | kwadraciak (102)
ważne od: 21.04.2026 do: 19.05.2026
ATRAKCYJNE DZIAŁKI W JASIENICY ROSIELNEJ
1/3
Cena: 79.000 zł
Podkarpacie -Atrakcyjne działki budowlane w Jasienicy Rosielnej

Zapraszamy do zapoznania się z oferta atrakcyjnych działek budowlanych w Jasienicy Rosielnej .

Działki widokowe w kształcie prostokąta usytuowane na lekkim wzniesieniu , słoneczne o wymiarach 30x40 uzbrojone w kanalizację gminną, wodociąg , prąd (według warunków przyłączu wydanych przez zakład energetyczny )gaz w odległości ... (pokaż całość)
KONTAKT Wyślij
wiadomość
M4 Biuro Nieruchomości krosno
ul. Wojska Polskiego 69A
tel.782869797
https://www.m4krosno.pl/oferta/672-3-1/jasienica-r…
Powołaj się na ogłoszenie z Krosno24.pl
Ogłoszenie nr 1503990 | m4nieruchomosci (48)
ważne od: 21.04.2026 do: 05.05.2026
DZIAŁKA Z POTENCJAŁEM JASIENICA ROSIELNA.
1/3
Cena: 90 000 zł
Oferujemy Państwu na sprzedaż działkę w miejscowości Jasienica Rosielna (powiat brzozowski, woj. podkarpackie). Powierzchnia działki wynosi 36 ar. Nieruchomość posiada bezpośredni dostęp do drogi gminnej, asfaltowej. Działka o przybliżonych wymiarach ok. 24mx150m. Brak miejscowego planu zagospodarowania przestrzennego (MPZP), możliwość wystąpienia o WZ. Wszystkie media dostępne na działce. Okolic... (pokaż całość)
KONTAKT Wyślij
wiadomość
M4 Biuro Nieruchomości
ul. Wojska Polskiego 69A
Tel: 603 472 377
https://www.m4krosno.pl/oferta/798-3-1/jasienica-r…
Powołaj się na ogłoszenie z Krosno24.pl
Ogłoszenie nr 1542855 | m4nieruchomosci (48)
ważne od: 21.04.2026 do: 05.05.2026
Machnówka gm. Chorkówka działki WZ 14arów
1/3
Cena: 79000
Machnówka gmina Chorkówka
Odległość od Krosna 8km

Szybki dojazd do nowo powstającej trasy S19

Do sprzedania 3 działki

Cena jednej działki 79 tys.

Powierzchnia: ok. 14,5 ara każda z działek, co zapewnia przestrzeń i swobodę aranżacji.
Dostępne warunki zabudowy – oszczędzasz czas na formalnościach.
Spokojna i malownicza okolica w miejscowości Machnówka, idealna dla rodzin oraz osób s... (pokaż całość)
KONTAKT Wyślij
wiadomość
693 279 386
Powołaj się na ogłoszenie z Krosno24.pl
Ogłoszenie nr 1564175 | ddpkrosno (1)
ważne od: 21.04.2026 do: 05.05.2026
/23
W polu powyżej wpisz numer strony, do której chcesz przejść