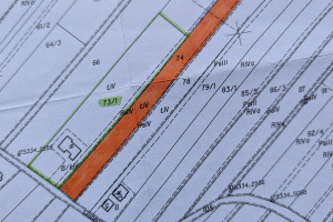
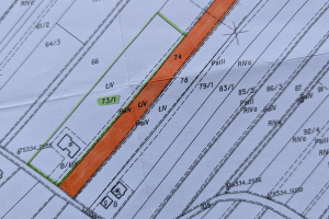
Działka 0,42 ha, Głowienka, blisko Krosna przy ul. Słonecznej
Sprzedam działkę (kolor pomarańczowy na ostatnim zdjęciu) o powierzchni 0,42 ha w Głowience, blisko Krosna, przy ul. Słonecznej. Jest do niej dojazd z drogi asfaltowej.
KONTAKT
607 918 149
Kontaktując się powołaj się na krosno24.pl
Ogłoszenie nr 1570474 | dodane przez: luksz
ważne od: 29.11.2025 do: 06.12.2025
Ogłoszenie pochodzi z portalu Krosno24.pl